Xuất hiện siêu bão mới Bolaven mạnh thứ 2 hành tinh, chỉ trong 12 giờ đã tăng cấp chóng mặt: Ảnh hưởng thế nào?

Chỉ trong 12 giờ, bão Bolaven tăng lên cấp 5, đạt cấp siêu bão và đang hoành hành ngoài khơi Thái Bình Dương. Dự kiến siêu bão sẽ gây ảnh hưởng đến đất liền.

Thông tin liên quan đến cơn bão Bolaven tăng cấp và được xem là siêu bão mạnh thứ 2 trong năm 2023 khiến người dân quan tâm. Trước đó 2 ngày, Trung tâm Cảnh báo Bão Liên hợp Mỹ và Dịch vụ Thời tiết Quốc gia Guam đã cảnh báo về sự hình thành của cơn bão mới ngoài bờ tây Thái Bình Dương. Nguy cơ cơn bão sẽ ảnh hưởng đến các đảo, quần đảo nằm trong lãnh thổ nước Mỹ.

xuat-hien-sieu-bao-moi-bolaven-manh-thu-2-hanh-tinh-chi-trong-12-gio-da-tang-cap-chong-mat-anh-huong-the-nao-1
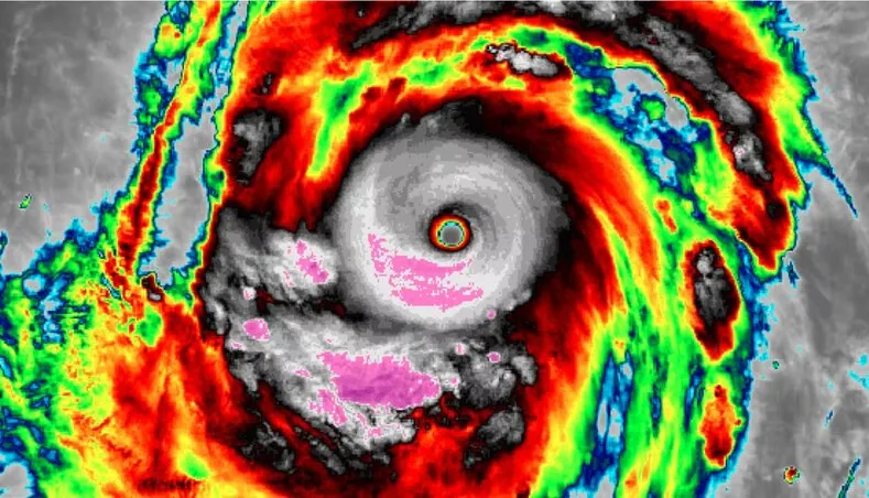
Hình ảnh chụp lại cơn bão Bolaven tăng cấp nhanh chóng ngoài khơi Thái Bình Dương

Sáng nay (12/10), các chuyên quan về khí tượng thủy văn quan sát thấy cơn bão Bolaven đang có dấu hiệu hoạt động mạnh mẽ ở ngoài khơi, cách Philippines khoảng 3.200 km về phía đông đông bắc và di chuyển về phía bắc trên vùng biển rộng.

Sức gió của bão Bolaven duy trì 290 km/h, giật lên 346 km/h và được trang tin Washington Post nhận định là cơn bão mạnh thứ 2 trên thế giới trong năm nay. Bolaven bắt đầu từ vùng nhiễu động, trải qua những đợt tăng cường nhanh chóng, bùng nổ từ cơn bão cấp 1 với sức gió 145 km/h lên siêu bão cấp 5 với sức gió 247 km/h chỉ trong vòng 12 tiếng. 

Được biết, bão Bolaven là siêu bão đạt cấp 5 trong thang bão 5 cấp Saffir Simpson và là cơn bão thứ 8 trong năm 2023 đạt cấp độ này. Số lượng các cơn bão mạnh trong năm nay tiếp tục tăng cao do ảnh hưởng từ biến đổi khí hậu và kiểu khí hậu El Nino khiến nước biển nóng lên mức kỷ lục. 

xuat-hien-sieu-bao-moi-bolaven-manh-thu-2-hanh-tinh-chi-trong-12-gio-da-tang-cap-chong-mat-anh-huong-the-nao-4
Ảnh chụp vệ tinh hồng ngoại có thể thấy tường mây đối lưu bao quanh cực kỳ mạnh mẽ

Dựa trên hình ảnh vệ tinh hồng ngoại, cơn bão Bolaven sở hữu những hình thái, cấu trúc điển hình của một cơn bão trong sách giáo khoa. Mắt bão sắc nét, xung quanh là những cơn giông cao ngất. Sét xuất hiện liên tục quanh mắt bão. Tất cả những điều đó là dấu hiệu của một cơn bão đạt cấp độ cao nhất.

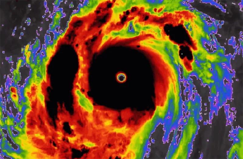
xuat-hien-sieu-bao-moi-bolaven-manh-thu-2-hanh-tinh-chi-trong-12-gio-da-tang-cap-chong-mat-anh-huong-the-nao-3
Dự kiến sức ảnh hưởng của bão Bolaven lên toàn nước Mỹ trong tuần tới

Từ hướng đi của siêu bão Bolaven trong những ngày qua, các chuyên gia dự đoán nó sẽ tiếp tục di chuyển qua phía bắc Thái Bình Dương, không đi vào đất liền vì nó sẽ suy yếu khi gặp vùng biển lạnh. Tuy nhiên, sức ảnh hưởng của siêu bão Bolaven vẫn không thể xem thường. Bão sẽ gây ảnh hưởng nhiều đến thời tiết trên khắp Bắc Mỹ trong đầu tuần tới. 

xuat-hien-sieu-bao-moi-bolaven-manh-thu-2-hanh-tinh-chi-trong-12-gio-da-tang-cap-chong-mat-anh-huong-the-nao-6
Nếu tiếp tục tăng cấp, siêu bão Bolaven sẽ vượt qua siêu bão Manwar hồi tháng 5 trở thành cơn bão mạnh nhất hành tinh năm 2023

Tháng 5/2023, siêu bão Manwar với xoáy thuận nhiệt đới mạnh nhất ở khu vực Bắc bán cầu được xem là cơn bão mạnh nhất năm 2023. Nếu cường độ ảnh hưởng của siêu bão Bolaven tăng thêm trong thời gian tới, nhiều khả năng nó sẽ đuổi kịp siêu bão Manwar để trở thành cơn bão mạnh nhất năm 2023 tính đến thời điểm hiện tại.

Trúc